City of Port Townsend Starting Gaines Street Pump Station Project
CITY OF PORT TOWNSEND STARTING GAINES STREET PUMP STATION PROJECT
Road closures scheduled
PORT TOWNSEND – The City of Port Townsend will start construction of the Gaines Street Pump Station Project on Monday August 29, 2022. This project will install a new Fiberglass Reinforced Plastic (FRP) liner for the wet well of the Gaines Street Pump Station. The Gaines Street Pump Station is a key component of the City’s wastewater treatment system, facilitating conveyance of wastewater from downtown Port Townsend to the City’s sewer treatment plant. The sewer pump station serves many businesses and thus the project requires temporary pumps be installed in the street during the rehabilitation of the existing pump station. This requires a street closure.
Project Location:
The project is located at the intersection of Gaines Street and Water Street, south of Sims Way.

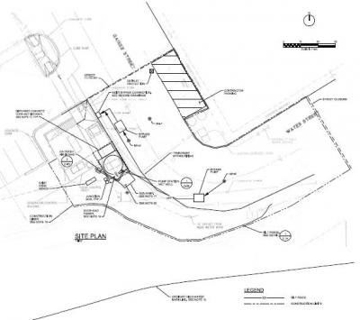
Project Site Plan:

Business Access:
All adjacent businesses will have access throughout the project. The sidewalks on the east side of Gaines Street and the north side of Water Street will remain free and clear for pedestrian travel throughout the project.
Road Closures:
A road closure is required in order to perform the work and install temporary sewer pumps that will take the place of the lift station while the rehabilitation work is being done. At the project site, at the intersection of Gaines Street and Water Street, the road will be closed with a chain link fence and barricades, as shown on the site plan. Most parking stalls on the east side of Gaines Street and the north side of Water Street will be available throughout the project.
Project Duration:
The construction contract has a duration of sixty days. There will be a crane on site, which will represent peak project activity, for possibly up to one week. This crane will lift the new liner into the wet well.
Contact:
For questions about this project, please contact City of Port Townsend’s project manager, Laura Parsons, P.E. (360) 379-4432 or lparsons@cityofpt.us